Los Ahijones es uno de los nuevos desarrollos urbanísticos de Madrid, situado en el distrito de Vicálvaro. El número de viviendas programadas es de 17 000, que ocuparán una superficie 5,95km² (un 13% más grande que el distrito Centro, ocupando el 17% de la superficie total de Vicálvaro).

El 20 de enero de 2021 se inició el periodo de información pública del desarrollo de los Ahijones. Debido a ello, en Pedalibre hemos investigado la documentación del expedientey, aunque incluye infraestructura ciclista protegida, ésta es escasa y deficiente.
Viales del barrio
El barrio está organizado por calles que forman la típica red jerárquica, condicionadas, en primer término, por las autopistas que las rodean (M-50, M-45 y la R-3). Dependiendo del tipo de tráfico motorizado, quedarían divididas en:
- Arteriales: Sirven para ir de un distrito a otro de la ciudad
- Colectoras: Son aquellas que comunican las distintas partes dentro de un mismo barrio
- Residenciales: Sirven para acceder al destino final.

Claramente, se sitúa a la gran vía del Sureste como un eje vertebrador, que pincha todos los nuevos desarrollos de Vicálvaro, con los de Vallecas, llegando hasta Coslada a través del Cañaveral.
Infraestructura ciclista prevista
Este es de los pocos barrios de Madrid que se han planificado con una infraestructura ciclista que sirva mínimamente para desplazarse por ella. No obstante, esta infraestructura presenta muchísimos problemas para ser mínimamente útil, incluso dentro del barrio.

Inexistencia de red ciclista y baja ciclabilidad
El barrio únicamente cuenta con carriles bici segregados en tres calles: en la Gran Vía del Este, la continuación de la calle de la Pirotecnia, y en la calle que conecta la Gran Vía del Este con la M-823. En total son unos 5km de carriles segregados (que no protegidos) en un proyecto en el que hay más de 70km de viales que se van a construir.
En el resto de calles del barrio se ha optado por no hacer absolutamente nada. De este modo, se va a hacer que las bicicletas tengan que compartir la calzada con el resto de vehículos en avenidas de 4 carriles, algunas que serán ejes importantes para coches en el barrio.


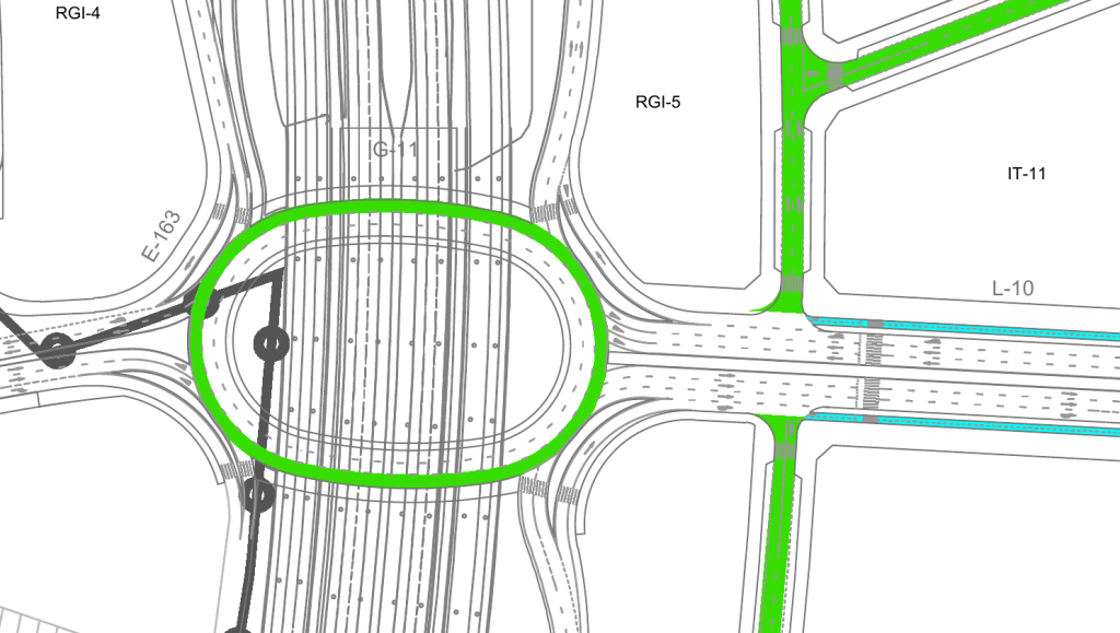
No hay ninguna solución para las vías ciclistas en las rotondas
Al estilo al que ya estamos acostumbrados de los otros desarrollos de este siglo de Madrid, nos encontramos con unas rotondas excesivamente grandes en los cruces de calles grandes. En estas rotondas, a pesar de haber espacio de sobra para separar a las bicicletas y protegerlas del resto del tráfico, vemos sin embargo unas rotondas de entorno a 100m de diametro y cuatro carriles. No hay justificación razonable para este tipo de infraestructura, ni siquiera usando el tan querido nivel de servicio que usa Madrid para justificar no construir infraestructura ciclista en aquellos sitios en los que más falta hace.

En la práctica totalidad de los cruces, no se ha considerado que las bicicletas puedan seguir recto o hacer giros a la izquierda
Otro de los problemas del planeamiento del viario que se ha planteado es que existen muchas avenidas con mediana en las que no se ha contemplado la posiblidad de que las bicis puedan seguir recto o hacer giros a la izquierda, mientras que los peatones sí que pueden realizar dichos movimientos.
En este ejemplo, que es la avenida que continúa la avenida de la Pirotecnia, podemos comprobar como, a pesar de haber un carril bici protegido en dicha calle, no se ha planteado la posibilidad de que alguien quiera seguir recto por las calles transversales. La ruta verde muestra la ruta deseada, mientras que la roja muestra la ruta que habría que hacer de forma legal sin bajarse de la bicicleta.

En el caso anterior aún existe un carril bici bidireccional a cada lado de la avenida, pero en el siguiente caso, vamos a mostrar que en el caso de que haya una avenida de 6 carriles con mediana y carril bici unidireccional, tampoco se ha contemplado que pueda haber personas que quieran girar a la izquierda cuando se desplazan en bici:

Esto ocurre incluso con la Gran Vía del Este, en la que no se ha contemplado tampoco que habrá personas que necesiten moverse por otras calles, siendo un auténtico infierno la ruta legal para no tener que bajarse de la bicicleta, a pesar de que para los peatones (en este caso) sí que se han dispuesto sendos pasos de cebra.

No entendemos cómo es posible que se haya pensado en los peatones a la hora de hacer posible esos movimientos que, claramente, contribuyen a aumentar la caminabilidad, pero a la hora de pensar la red ciclista del barrio, simplemente no se haya pensado la posibilidad de diseñar el viario de tal manera que dichos movimientos sean también posibles para las personas que se mueven en bicicleta, de forma segura, directa y cómoda. Creemos que no haber pensado de antemano en un diseño que haga un uso de la bicicleta atractiva, únicamente llevará a conflictos con los peatones.
Ciclovía de Arganda
La ciclovía de Arganda es una vieja reivindicación, apoyada desde Pedalibre, de recuperar el trazado del antiguo tren de Arganda en forma de una vía ciclista y un camino peatonal, que unía la estación del Niño Jesús, casi en El Retiro, con Vicálvaro, Rivas y Arganda. Esta es una oportunidad ideal para recuperarlo, pero no vemos ningún intento en los documentos por hacerlo, máxime cuando actualmente, el tramo que supone una mayor interrupción para recorrerla en bicicleta (y andando) es justamente donde se va a urbanizar en los próximos años.
Los carriles bici de los Ahijones no conectan con la red ciclista del resto de la ciudad o de la comunidad
Este es quizás uno de los mayores problemas de la red ciclista planeada en este desarrollo. No procura ninguna vía ciclista segregada y segura que comunique con el resto de Madrid, ni siquiera con Vicálvaro. Por otro lado, una conexión con Rivas es también un requisito indispensable, ya que después de realizar este desarrollo, quedará conurbada con Madrid.
La conexión de los Ahijones con Vicálvaro se hace a través de la calle de la Pirotecnia y la calle de Rivas, que atraviesan el polígono industrial de Vicálvaro. A pesar del importante tráfico de camiones que hay en la zona y del previsible incremento de vehículos en dichas calles al construir el barrio, así como dotar de otra conexión al distrito con la M-45, no se ha planteado ninguna infraestructura ciclista segregada, a pesar de pertenecer a la red básica ciclista del plan director ciclista de Madrid.
En el caso de los peatones, el problema es aún mayor, ya que la conexión de la calle de la Pirotecnia con la avenida de la Aurora Boreal está prohibida a los peatones, debido a que en su momento se pensó como una conexión rápida para coches, que incluye dos rotondas concéntricas a distinto nivel, expresión inigualable del rotondismo español.

Para más INRI, la conexión ciclista de los Ahijones con la calle de la Pirotecnia… ¡Desaparece antes de cruzar la M-45! Concretamente, el carril bici planeado para esa calle, que es bidireccional a cada lado de la calle, desaparece en el cruce con la última calle, pasando a ser un carril-coche unidireccional, que además es un miniatajo para que los coches que hagan el giro a la derecha no tengan que entrar en la rotonda.

Planificar esto de este modo es ignorar completamente las necesidades de un vehículo como las bicicletas. Se puede entender que este proyecto no realice un carril bici en la calle de la Pirotecnia, ya que dicha calle está fuera del ámbito proyecto de urbanización, pero es incomprensible que, siendo que se va a rehacer completamente la actual intersección que hay, no se dé una solución completa, contínua y segura a un itinerario ciclista que pertenece a la red básica del plan director ciclista de Madrid, dentro del proyecto de urbanización. Del mismo modo que se ha tenido en cuenta a los vehículos a motor a la hora de diseñar los viales y la intersección, exigimos que la infraestructura ciclista termine donde termina el ámbido del proyecto, esto es, al menos en el lado de la M-45 en la que queda el pueblo de Vicálvaro.
Conexión con el transporte público
No parece que haya previsto ningún carril bici directo a la estación de metro, ni de aparcamiento para bicicletas. Contrasta con las previsiones que se han debido de hacer para el coche, ya que en el entorno de la futura estación de metro, en lugar del aparcamiento en paralelo, se ha optado por ponerlo en batería, para dotarlo de una mayor cantidad de plazas de aparcamiento.
Los carriles bici son estrechos
En el caso de los bidireccionales, se han realizado de 2,5m. Exigimos mínimo carriles bici bidireccionales de 3,5m de ancho.
En el caso de los monodireccionales, la anchura nos parece adecuada (2m), siempre y cuando dichos carriles bici se encuentren protegidos mediante armadillos, bolardos o aletas de tiburón, de forma que los vehículos no tengan la posibilidad de usarlo para circular o para aparcar sobre ellos.
Nuestra propuesta
Desde Pedalibre, abogamos por convertir este barrio en el icono de que la movilidad ciclista, segura, inclusiva y directa ha llegado a Madrid para quedarse. En sí, la red dentro del barrio no nos parece suficientemente mallada, así que creemos que es necesario añadir más infraestructura ciclista segregada en el interior del barrio. Por ello, vamos a realizar una propuesta, cuyos ejes principales son los siguientes:
- Protección de toda la infraestructura ciclista segregada
- Mejora de la ciclabilidad
- Realización de intersecciones protegidas
- Carril bici segregado en la totalidad de las rotondas
- Bidireccionalidad en avenidas de 4 o más carriles
- Ninguna calle con un sentido prohibido a las bicicletas
- Elementos reductores de velocidad en las calles con coexistencia
- Intermodalidad con el transporte público
- Conexiones intradistritales, interdistritales y con Rivas-Vaciamadrid
Protección de toda la infraestructura ciclista segregada
No comprendemos que se vayan a realizar timocarriles en algunas avenidas. Estos carriles no suponen una protección suficiente ni atractiva para las personas que se vayan a mover en bici, ya que no evita que los coches invadan el carril bici para aparcar sobre él, como hemos visto en la totalidad de los carriles bici provisionales que hizo el ayuntamiento de Madrid en el verano del 2020.


Para evitar este problema, proponemos separarlo de la calzada completamente mediante un buffer, un bordillo y bolardos. Del mismo modo, para garantizar que dicho carril bici sea fácilmente identificable por personas que tengan una discapacidad visual, proponemos la instalación de un pequeño bordillo montable entre el carril bici y la acera, tal y como se hace en Dinamarca. El hecho de que el bordillo sea montable es para que las personas que se desplacen en sillas de ruedas o tengan que acceder a la calzada con carritos de bebé, de supermercado o maletas, no tengan ningún impedimento en atravesarlo.

Carril bici segregado en cualquier avenida con más de dos carriles por sentido
En las avenidas que vayan a disponer de más de un carril por sentido, proponemos la creación de un carril bici monodireccional, segregado y protegido, de 2m de ancho. No entendemos cómo hay una gran cantidad de avenidas con 4 carriles en las que no se haya pensado en la bici más que para pintarla en el suelo junto a un 30.

Del mismo modo, creemos muy importante aprovechar para dar continuidad y crear itinearior ciclistas y peatonales hacia Rivas, especialmente con la Ciclovía de Arganda.
Intersecciones protegidas y carriles bici en rotondas
Para solucionar la falta de carril bici en las glorietas, proponemos la reducción del diámetro de las rotondas. En algunos casos, creemos necesaria la reducción de carriles en dichas rotondas, ya que incluso cuando estén terminados todos los desarrollos del sureste, no va a haber una demanda tal que exija que todos estén ocupados.
Bidireccionalidad, contramano ciclista y pacificación
Una de las cosas más importantes a la hora de potenciar el uso de la bicicleta en ciudad es hacer que la bicicleta tenga siempre rutas cortas, sin rodeos y que sea más práctico realizarlas en bicicleta antes que en coche.
Con este fin, proponemos que en la totalidad de las calles, la bicicleta pueda circular en ambos sentidos. Cierto es que en los Ahijones apenas hay (según el proyecto de urbanización) calles que vayan a tener únicamente un sentido, pero en algunos casos pueden dar lugar a rodeos muy largos.
Adicionalmente, está también el problema con algunas avenidas planificadas con 6, 8 e incluso 12 carriles. Este tipo de avenidas, debido a ancho, deberán ser cruzadas obligatoriamente mediante semáforos. El hecho de que los carriles bici planificados sean unidireccionales hace que se penalice de forma innecesaria a la bici en muchos casos, obligándola a cruzar una avenida con muchos carriles. La falta de itinerarios ciclistas seguros en algunos sentidos puede provocar que haya un número alto de bicicletas realizando infracciones de tráfico, tales como circular en dirección contraria o por la acera.
Finalmente, consideramos que una parte imprescindible para poder acceder a la red ciclista del barrio es disponer de una red local de calidad. Esto supone convertir las calles en las que la coexistencia entre los distintos vehículos bajo la misma calzada es la solución ideal en atractivas para la bicicleta. En estas calles es fundamental aplicar de forma sistemática elementos de reducción de la velocidad, tales como pases de peatones elevados con islas, lomos de asno, estrechamientos de la calzada, sectorizaciones, pavimento adoquinado o asfalto impreso, aceras contínuas…

Cuando un vehículo motorizado acceda a dichas calles, se le tiene que dar la bienvenida a un espacio en el que el está siendo invitado, y tanto la señalización como el diseño de la calle tienen que remarcar ello. De este modo, creemos que la entrada a estas calles debe realizarse a través de una acera contínua (siempre que no haya semáforos, para evitar conflictos entre peatones que creen que siguen en la acera y con vehículos con el semáforo en verde) y que inmediatamente se señalice que dicha calle es una zona 30 o una calle residencial, independientemente de que tanto la ordenanza de movilidad como el reglamento de circulación ya regulen las velocidades máximas en este tipo de calles según su tipología.
Hacer menos atractiva al tráfico de paso la vía de servicio de la Gran Vía del Sureste
La gran vía del Sureste tiene una vía de servicio, con 2 carriles por dirección. Dicha vía de servicio empieza en las macrorrotondas que hay a los extremos. Para hacer más fácilmente la creación de carriles bici segregados en las rotondas, proponemos hacer menos atractivo al tráfico de paso el usar las vías de servicio, haciendo que los vehículos tengan que incorporarse a las vías de servicio a mitad de la calle, en lugar de en los extremos.

Tamaño de los carriles bici
Para un carril bici monodireccional, 2m de ancho, además de la separación con el resto de la calzada, nos parece aceptable. No obstante, los carriles bici bidireccionales planificados, de 2,5m de ancho, nos parecen demasiado estrechos. Por ello, proponemos que estos carriles tengan un ancho mínimo de 3,5m, para permitir circular a todo tipo de bicicletas, incluídas las cargobikes, así como para que se puedan adelantar las bicis cómodamente entre sí.
Debido a que a la hora de diseñar los carriles bici bidireccionales se han diseñado con un buffer de 2m entre la calzada y el carril bici, no supone ningún problema hacer este cambio.

Intermodalidad con el transporte público
Para tratar el tema de la intermodalidad con el transporte público, proponemos dotar a todas las paradas de transporte público con suficientes plazas de aparcamiento para bicis. La estación de metro de los Ahijones deberá contar con un aparcamiento para bicicletas con capacidad para al menos el 50% de los viajes previstos. Dicho aparcamiento deberá estar vigilado y tener una conexión óptima con la entrada a la estación. Para las paradas de bus, proponemos también que todas dispongan de al menos 10 plazas para bicis a menos de 20m de distancia. Consideramos también importante tener en cuenta que dichos aparcabicis han de preveer que puedan ser usados por bicicletas no estandar, tales como triciclos, cargobikes, así como por VMPs.
Conexiones intradistritales, interdistritales y con Rivas-Vaciamadrid
Uno de los mayores problemas del proyecto de urbanización es que no contempla ninguna conexión ciclista ni con el casco histórico de Vicálvaro, ni con el Cañaveral, ni con los Berrocales, ni con Rivas. Además, entre los Ahijones y Vicálvaro hay que atravesar un polígono industrial, con el peligro que ello conlleva para las personas que se muevan en bici si no se planifica adecuadamente la infraestructura.
Es fundamental aprovechar este momento en el que se va a acometer esta obra, así como otras que estén pendientes en el Cañaveral para realizar ciclopistas que conecten con el anillo verde en distintos puntos de la ciudad.
Por supuesto, esto tiene que suponer también que las calles del polígono se conviertan también en vías seguras para la bici, de cara a favorecer que sea accesible en bici, aprovechando también la situación inmejorable de la estación de cercanías de Vicálvaro (Metro de Puerta de Arganda) para dar servicio al polígono.
Por ello, proponemos que el proyecto de urbanización cuente con carriles bici que lleguen más allá de la M-45.
Tampoco podemos dejar de lado la importancia de la conexión con Rivas. Una de ellas es inmejorable y se conseguiría siguiendo el trazado de la línea 9 de metro, que no es ni más ni menos que la ciclovía de Arganda. No obstante, aprovechando el resto de calles que se van a crear, proponemos también la creación de un carril bici hacia la calle Madres de la Plaza de Mayo, que dispone de carril bici, así como hacia la futura avenida de la Tierra.
Conclusión
Sin entrar a debatir la necesidad o no de realizar este desarrollo, no logramos comprender cómo es posible que después de haberse realizado otros proyectos similares, como el PAU de Vallecas o el de Carabanchel, las Tablas o Sanchinarro (y esto sólo dentro de la ciudad de Madrid) se caiga nuevamente en los mismos errores de sobredimensionar bestialmente la infraestructura para los coches, pero no hacer lo mismo para el resto modos de transporte, especialmente los más sostenibles.
En los Países Bajos, la mejor infraestructura ciclista no se encuentra en el centro de las ciudades, sino en la periferia. Sorprende que en el proyecto, se trate a la bici casi como una molestia, a tenor de la poquísima cantidad de infraestructura ciclista que va a disponer el desarrollo, la mala elección de la tipología de vías ciclistas y su nula conexión con otras vías ciclistas, tanto de Madrid, como de Rivas-Vaciamadrid.
Adicionalmente, creemos que la gran oportunidad para la bici en este barrio es su conexión con el transporte público, con lo cual consideramos prioritario comenzar a hablar con el CRTM la construcción de una estación de metro en los Ahijones. Al estar ya las vías puestas y discurrir en ese tramo en superficie, sería relativamente barato poner a disposición de los futuros habitantes una conexión a un modo ferroviario, acercando a la gente al Casco de Vicálvaro y al resto de Madrid.
Así pues, ¿Son los Ahijones un barrio cicloamistoso? Con el actual proyecto, no.

Muy buen análisis. Detallado, concreto y profundo.
Lamento, estamos a tiempo de corregirlo, que Madrid siga apostando pir un urbanismo que nos hace coche dependientes. Y como indicáis en el artículo. La solución puede venir de la intermodalidad, juzgo imposible reacer el desarrollo de los Ahijones, del uso de la movilidad sostenible, bicicleta, para acceder al transporte público.
Me gustaMe gusta